台北大安區法拍屋
首頁
|
申請房仲網站
|
法拍屋導覽
|
法拍地導覽
|
房仲導覽
首頁
台北
新北
基隆
桃園
新竹
苗栗
台中
彰化
南投
雲林
嘉義
台南
高雄
屏東
台東
宜蘭
花蓮
澎湖
金門
現在位置:
首頁
›
台北法拍屋
›
大安區法拍屋
›
台北大安區法拍屋
台北大安區法拍屋|台北市-大安區-法拍屋
售
金華.永康商圈*捷運*低樓層方正雅寓
列印
售2172萬
售1737萬6000元
房屋類型:
法拍公寓
總登記坪數:
22.62坪
每坪單價:
76.82萬/坪
地址:
台北市大安區潮州街31號2樓
黃先生
(煩請告知聯絡人,您是在House-Info房屋網看到廣告,感恩幫忙)
0978-813-259
市話:
0978-813259
公司名稱:
金石房屋資產有限公司
公司地址:
台北市大同區
個人網站:
www.法拍透明王.tw
留言
檢舉
物件介紹
詳細資料
格局
:
3房,2廳,2衛,0陽台,1廚房
屋齡
:
50年以上
所在樓層
:
2樓/共4層
電梯
:
沒有
法拍屋
:
本件是法拍拍賣房子
拍次
:
預估二拍(1737.6)
開標日期
:
115年2月25日
周邊環境
捷運站
:
古亭
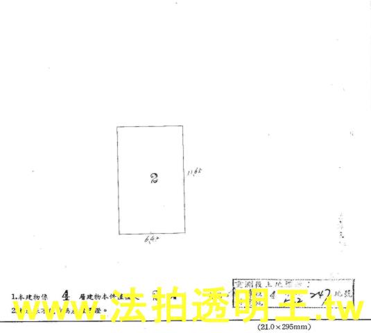
坪數說明
建物登記
:
22.62
主建物
:
22.62
土地登記
:
8.02
特色描述
(1/07)一拍價2172萬/@96萬~流標!
(2/25)二拍價1737.6萬/@76.82萬
本物件坐落於潮州街31號2樓
鄰近杭州南路二段與金華街巷口...
前後採光.與後棟棟距約3米
近古亭捷運站、勤通便利、增值最佳!!!
師大夜市、永康商圈、增加生活機能性
步行6-8分鐘即達捷運古亭站
有多線公車站.交通四通八達!!!
物件照片
大安區法拍法拍屋-0
大安區法拍法拍屋-1
大安區法拍法拍屋-2
大安區法拍法拍屋-3
大安區法拍法拍屋-4
大安區法拍法拍屋-5
大安區法拍法拍屋-6
物件地圖
到Google查看地圖
到Google查看街景
贊助商廣告
物件留言
請注意,如果您詢問的內容與物件不相符合或是廣告,經過審核,系統將會直接刪除您的發問內容
檢舉不實
黃金曝光
內湖
售3055萬
台北內湖文德路22巷27弄24號1樓
類型:公寓_一樓_法拍公寓一樓
坪數:36.07坪
格局:0房
信義區
售2690萬8000元
台北信義區信義路六段26巷5號1樓
類型:公寓
坪數:30.31坪
格局:0房
北投
售484萬4374元
台北北投立農街一段355號1樓
類型:公寓_一樓_法拍公寓一樓
坪數:33.52坪
格局:0房
萬華
售876萬
台北萬華環河南路二段250巷56弄10號4樓<5>
類型:公寓
坪數:25.65坪
格局:0房
房仲推薦
889法拍網
免責聲明:本系統為開放租用式法拍拍賣聯賣網站建置平台,僅提供查詢-
台北
,
大安區
,
法拍屋
-等法拍資訊參考,並不涉入任何諮詢、交易。物件(服務)聯絡人公佈的資訊、文字、照片、圖形、產權、廣告內容、或其他資料若有不實或違法情事,或與客戶聯絡交易過程中若衍生民事或刑事等法律問題,皆與本網站無關,所有商標、文章、名稱等版權,皆歸屬原著作者所有!
資料處理中,請稍後...